Park Board
Parks Board Contact Information
Address: PO Box 215, Ellendale, ND 58436
Phone: 701-349-3249 ext. 3
Appointed Members
- Wanda Sheppard – Secretary
- Robert Schmidt
- Andi Schimke - Chairperson
- Darrell Schrum
- Jerry Goergen
Commission Members
- Brandon Carlson - Commission Chairman
- John Hokana
- Kasey Holm
County Parks
In Dickey County there are 2 county parks. These county parks are funded by the county and are open to the public.
Pheasant Lake
Pheasant Lake has a public boat access on the east side of the lake, a vault toilet, and a picnic shelter. There is a handicap accessible dock on the west side of the lake right off the highway. Also, on the west side is a beach with a dock, a playground, a grill, a picnic shelter, and a vault toilet. Primitive camping is allowed in open spaces.

Pheasant Lake is located west of Ellendale approximately 7.3 miles on highway 11.
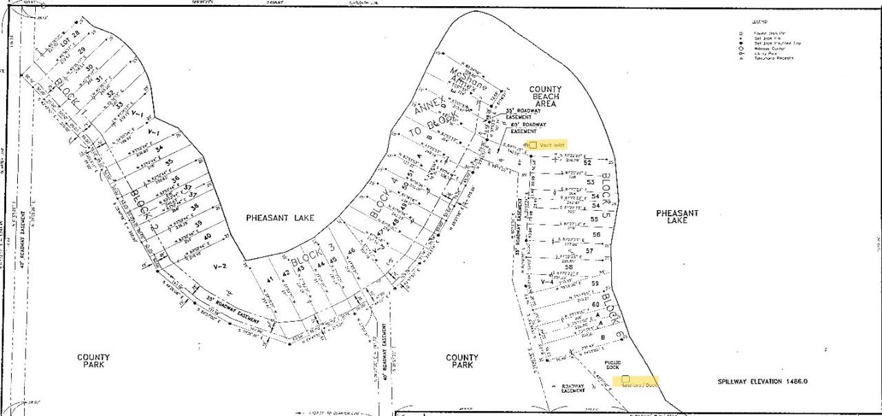
Pheasant Lake Plats
Pheasant Lake (west side)

Pheasant Lake (east side)

Wilson Dam
Wilson Dam is located approximately 11.8 miles north of Ellendale on highway 281 and approximately 7.4 miles west on county road 86th St SE. The camping is on a first come first serve basis.

- Camping using electrical site is $20/night
- Camping not using electrical - primitive - is $10/night
(Make checks payable to Dickey County Park to be placed in lockbox located on either utility pole.) - Two (2) Handicap accessible picnic tables
- Picnic shelter
- Two (2) outdoor grills
- Playground
- Boat ramp
- One (1) handicap restroom
- Two (2) vault restrooms
Dakota Lake
Dakota Lake is not a county park but is available for public use. There is boat access available. Ludden Sportsman's Club is in charge of Dakota Lake.
Dakota Lake is located east of Ellendale - 18.1 miles from highway 281 and highway 11, 4 miles south on highway 1 and turn right.

Dakota Lake is also 1.2 miles west from Ludden, 4 miles south on highway 1 and turn right.
